Adopt

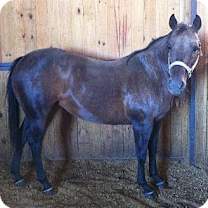
My name is Bayo!

Posted over 11 years ago | Updated over 3 years ago

Adoption process
1

Submit Application

2

Interview

3

Meet the Pet

4

Home Check

5

Sign Adoption Contract

6

Pay Fee

7

Approve Application

My basic info

Breed
Grade
Color
Bay
Age
Adult
Size
Medium (when grown)
Sex
Female
Pet ID
6965401

My details

Alert icon Not good with kids
Checkmark in teal circle Purebred
Checkmark in teal circle Needs experienced adopter
Checkmark in teal circle Has special needs

My health

Checkmark in teal circle Shots current

My story

Here's what the humans have to say about me:

Bayo is currently being pastured in Kentucky and would need an experienced handler to work with her. She is suited as a pasture pal only.

If you are interested in giving this deserving horse a loving home please contact the HAHS office. Adoption fees do apply. Hooved Animal Humane Society 815-337-5563 www.hahs.org

Rescue

Contact info

Pet ID
6965401
Contact
Address
10804 McConnell Road, Woodstock, IL 60098

Their adoption process

1.

Submit Application

Review our adoption/foster criteria checklist. Feel free to contact us if you have questions.

2.

Interview

We run a background check and call your references, ie. vet and farrier if you currently have another animal.

3.

Meet the Pet

Visit the facility and meet the pets you are interested in adopting/fostering.

4.

Home Check

We will visit your home or boarding facility.

5.

Sign Adoption Contract

6.

Pay Fee

Fees are based on the type of animal you are interested in adopting.

7.

Approve Application

Additional adoption info

Please visit our website for more information on adoption policies, procedures, and fees at https://hahs.org

Adoption application

Go meet their pets

The majority of our animals are located in Woodstock, IL

More about this rescue

The Hooved Animal Humane Society has made a difference in the lives of so many hooved animals. Founded by six concerned citizens, we will continue with our mission of:
promoting the humane treatment of hooved animals through education, legislation, investigation, and if necessary, intervention.
We are a 501(c)(3) organization and are supported solely by your tax deductible donations. Thank you for helping us be there for the hooved animals. Your support is most appreciated.

Other pets at this rescue